


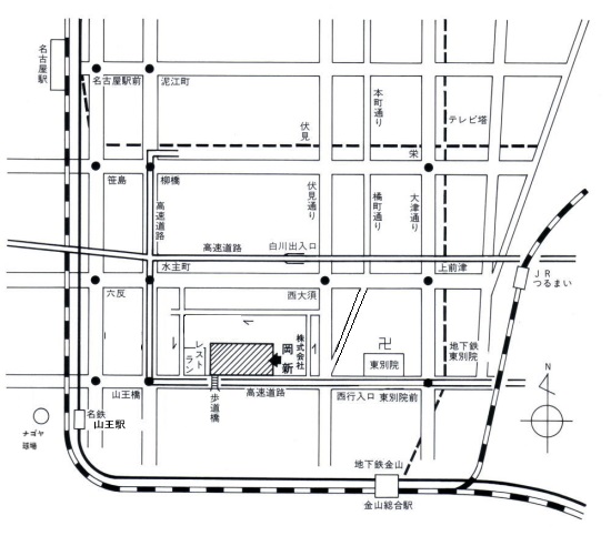
| 住 所 |
| 名古屋市中区松原3-15-23(〒460-0017) |
| 公共交通機関からのアクセス |
名古屋市営地下鉄 東別院4番出口より徒歩7分
名鉄山王駅より徒歩10分
金山総合駅より徒歩15分
名古屋市営バス 中巡回(栄⇔金山) 古渡北バス停より徒歩5分
名古屋市営バス 栄22(栄⇔港区役所) 山王橋バス停より徒歩5分
名古屋市営バス 名駅19(名古屋駅⇔港区役所) 山王橋バス停より徒歩5分 |
| お車でのアクセス |
名古屋ICより車で40分
名古屋高速道路東別院出口より車で5分 |
| 名古屋市内広域図 |
 |
| 弊社近郊近隣図 |
 |


|